'The Lost Raiders Found': The Tyneside Scottish at Armentières

Published on 16 November 2018
Submitted by David Tattersfield

During the Great War trench raids were perceived as an operational necessity in order to dominate No Man's Land, to take prisoners and to ensure British and empire troops retained an offensive spirit. These raids frequently came at a heavy cost in lives and, if care was not taken, could result in identification being provided to the enemy - the opposite of what was intended. For this reason, raiders invariably divested themselves of identification tags, regimental badges and pay books. The result of such procedures meant that any British troops who were killed on these raids would stand virtually no chance of being identified if their bodies were not immediately recovered by their comrades. In this article, research into a group of soldiers who were buried by the Germans has enabled the identification to take place of men who failed to return from a large-scale trench raid in 1917.

Rue-Petillon Military Cemetery near Fleurbaix is one of the many cemeteries dotted around the 'flat-lands' of Flanders, and is situated midway between the villages of Neuve-Chapelle and Armentières. Being a little to the north of Fromelles, it is slightly off the beaten track for visitors to this part of northern France. The cemetery was started as early as December 1914 and was in use until the German Spring offensive rolled through the fields of this area in April 1918.

Rue Petillon Military Cemetery
Rue-Petillon Military Cemetery. (Author's collection)

After the war the Imperial War Graves Commission selected Rue-Petillon to be one of the permanent post-war concentration cemeteries; consequently the number of burials grew as smaller cemeteries in the area were cleared and re-internments took place. As a result of this expansion, the cemetery today contains the graves of over 880 identified soldiers with a further 600 burials of men whose identities could not be established.

Some years ago I had reason to visit this cemetery and, wandering along the rows, was slowly making my way back towards the gates when my eye was caught by a group of headstones which bore the same inscription: A Soldier of the Great War, 11th February 1917. I initially counted eight with this detail in adjoining graves, but soon added others to this number (one of the headstones stated "Unknown Officer"). I eventually came to the conclusion that the number of men with this date in this row amounted to eleven. [1]

My curiosity aroused, I photographed the headstones for future investigation. As I took the photos I noted one headstone of an identified soldier of the Tyneside Scottish (these battalions were allowed their own unique headstone rather than having the 'regimental' badge of the Northumberland Fusiliers) was adjacent to the unknown officer. This was Private R Thomas who had died just three days later - the 14th February. Was Reginald Thomas of significance as his date of death was so close to the eleven who had died on 11th February, or was this just a coincidence?

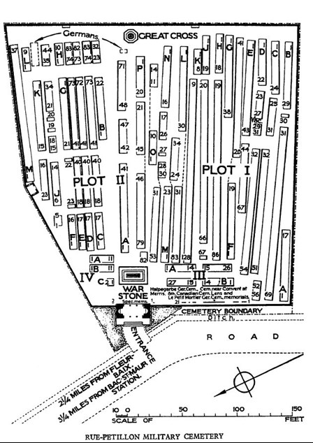
Plan Of Layout Of Rue Petillon Military Cemetery
Plan of layout of Rue-Petillon Military Cemetery. (Courtesy CWGC)

The winter months of early 1917 were said to have been the coldest of the war. This may or may not be true, as no doubt any winter "up to your waist in water", as the lyrics of the song would have us believe, must have been a miserable experience. For Captain Cedric Daggett, officer commanding 'A' Company and the men of the 4th Tyneside Scottish (23rd Northumberland Fusiliers) in the flat, featureless moonscape of the Armentières sector, although things were bad, they could have been worse. This was, after all, a quiet sector and, having been heavily involved in the opening day of the Battle of the Somme the previous summer, perhaps the mud could be endured. The battalion, part of the 34th Division, had been formed as part of Kitchener's recruiting drive of 1914.

Cedric Daggett

Cedric Daggett (Courtesy Of The Register, Adelaide)
Cedric Daggett (Courtesy of The Register, Adelaide) (via www.trove.nla.gov.au)

The 23 year old Cedric Daggett was sufficiently stirred by the outbreak of the war to be an early volunteer, and enlisted on 5 September 1914. Despite his lack of height - his enlistment papers tell us that he stood just 5' 4" tall, and weighed 104 lbs (7 ½ stones)- it is likely he would have stood out as being very 'middle class'. He informed the recruiting sergeant that he was a solicitor.

Cedric Hunton Daggett was born on 3 December 1890. The family home at the time was 20 Victoria Square, Jesmond where his parents William and Evangeline are recorded along with Cedric and his older brother (William) in the census of 1891 as living with two servants. A third son (Harry) was born in 1898

20 Victoria Square
20 Victoria Square (www.rightmove.co.uk)

The 1901 census puts the family (less Cedric who was at prep school) at Hollin Hill Terrace, in the village of Riding Mill, some 20 miles west of Newcastle, but on a direct train route for William (senior), who practiced as a solicitor in Newcastle city centre.

After prep school at Seascale, Cedric was educated at Felsted - an independent school in Essex.

Felsted School
Felsted School (www.recordinguttlesfordhistory.org.uk)

Cedric followed in his father's footsteps and trained to be a solicitor and - having qualified in 1913 - worked for the firm of Clayton and Gibson; they operated out of 7 Grey Street, Newcastle. William Daggett's firm was situated only a few seconds walk away, just round the corner at 12 Mosley Street.

He Corner Of Mosley Street (On Right) And Grey Street (Ahead) In Newcastle.
The corner of Mosley Street (on right) and Grey Street (ahead) in Newcastle. This is where Cedric's father had his offices and Clayton and Gibson had theirs. (Google street view)

Saturday 5 September 1914 was the day on which London Opinion published the now famous portrait of Kitchener informing the young men of the country that "Your Country Needs You". It can't be known if Cedric was influenced by this publication, but he turned up at a recruiting office and, giving his religion as a Roman Catholic, signed up for "three years or duration". He was allotted to the 9th Northumberland Fusiliers - a K2 formation which was ultimately to form part of the 17th (Northern) Division - and commenced training under the usual difficulties of shortages of everything from boots to NCOs.

Inevitably, officer material such as that offered by Cedric was something that the army would not overlook. Within six months - after being examined and passed "physically fit" - he was discharged on 13 March 1915 in order to learn the ropes as a subaltern. It is likely he received a week's home leave, as the date of his appointment to the rank of Second Lieutenant was 20 March 1915.

Daggett Wearing The Tyneside Scottish Glengarry (Courtesy Of IWM)
Daggett wearing the Tyneside Scottish Glengarry (Courtesy of IWM)

4th Tyneside Scottish

Months of training followed, so it was not until April 1916 that 2/Lt Cedric Daggett joined the 23rd Battalion Northumberland Fusiliers - the 4th Tyneside Scottish.[2]

The battalion formed part of the 34th Division - which was led by the famous Major-General Ingouville-Williams "Inky Bill".

'Inky Bill' GOC 34Th Division (Courtesy Wikipedia)
'Inky Bill' GOC 34th Division (Courtesy Wikipedia)

The battalion's war diary records that on Easter Sunday, 23 April 1916 ("a fine and sunny day") the men were engaged with the semi-finals of a platoon football competition in and around the village of Bayenghem, about 8 miles north-west of Saint-Omer. The diary goes on to record "2/Lt CH Daggett joined from home, and is posted to 'A' Coy."

Cedric was probably warmly welcomed by the commanding officer Lt-Col William Lyle, who would have no doubt told him that the battalion had arrived in France at the beginning of the year. It was not long before the 4th Tyneside Scottish, and the rest of the 34th Division, was to start its journey to the Somme.

1st July 1916

The attack by the 34th Division on 1 July 1916 is well known. The Tyneside Scottish brigade attacked astride the main Albert to Bapaume road and in the process lost over 800 officers and men killed, with wounded and missing taking the casualties even higher.

Leading by example, Lt-Col Lyle was, according to the 4th Tyneside Scottish war diary , "last seen alive with walking stick in hand, amongst his men about 200 yards from the German Trenches".[3]

The battalion's second in command, Major Montague Burge was also killed, he "fell before he had gone many yards from our lines". In Daggett's own company, the commander Captain Joseph Cubey "was killed before he had gone 100 yards".

Captain Cubey (North East War Memorials Project Www.Newmp.Org.Uk)
Captain Cubey (North East War Memorials Project www.newmp.org.uk)

The war diary reports on 2 July "The only two officers who turned up for Roll Call were Lt GS Shelson and 2/Lt C Daggett who were exhausted and had had a most harrowing time, from them it was learned of the gallant and unflinching way in which all our officers, NCOs and men went over in this great attack without the slightest hesitation. "

The 4th Tyneside Scottish incurred the third highest casualties of all the infantry battalions which attacked on 1 July 1916. Besides the ten officers and 230 men from the battalion who were killed on this day, substantial numbers of missing and wounded took the battalion's total casualties to an eye-watering 629.[4]

Recovery and Rebuilding

On 7 July Major Cecil Porch (who was the 2nd i/c of the 34th Division's pioneer battalion, the 18th Northumberland Fusiliers) took over command of the 4th Tyneside Scottish. The following day the battalion's war diary recorded the fact that Cedric Daggett was appointed to command 'A' Coy and was gazetted to full Lieutenant. He was made up to acting Captain just two months later in September 1916.

The repercussions of the 1st July attack meant the battalion was withdrawn from the 34th Division and, with the other battalions in the Tyneside Scottish and Tyneside Irish brigades, was transferred to the 37th Division in the Arras area. This was a surprising procedure as the usual way of rotating divisions which had been so badly damaged in an attack would have been to withdraw the entire division. The exchange of brigades between the 34th and 37th Divisions in this way is almost certain to be a reflection on the low regard that Sir Douglas Haig had for the 37th Division's GOC, Maj-Gen Count Gleichen. [5]

Absorbing and training replacements for the losses incurred would have been the highest priority for the new Commanding Officer. This took place to the north of Arras - well away from the fighting on the Somme. Over the course of three days at the end of July, the 4th Tyneside Scottish received drafts totalling 329 men. It seems that many of these men came from the West Riding Regiment, and a good proportion of the new intake hailed from Huddersfield, Bradford and Leeds. Among these new drafts were John Collett, Henry Clarke and Walter Guffick. Others from this regiment included John Stamper (who had briefly enlisted into the WRR in January 1914), Albert Waite, David Walling and Reginald Thomas.

Private John Collett (Courtesy Of Janet Rainford)
Private John Collett (Courtesy of Janet Rainford)
Collett's Pension Record Card
Collett's Pension Record Card
Private David Walling (Craven's Part In The Great War, 1919 Via Www.Findmypast.Co.Uk)
Private David Walling (Craven's Part in the Great War, 1919 via www.findmypast.co.uk)
The Pension Card For David Walling.
The Pension Card for David Walling

Others in this draft were no doubt men who had recovered from wounds, such as Albert Robinson whose regimental number 19/1682 tells us he was originally with the 19th Battalion Northumberland Fusiliers (2nd Tyneside Pioneers, part of 35th Division).

Sgt Albert Robinson
Sgt Albert Robinson from The Hexham Herald
Sgt Albert Robinson.
Sgt Albert Robinson from an Ancestry Family Tree [McHenry/Robson]
Sergeant Albert Robinson's Pension Record Card
Albert Robinson's Pension Record Card

Another large group of draftees appears to have come from the regiment's 1/4th (Territorial) Battalion - this group included Frederick Hammand, Robert Banks, Edward Jenkins and probably one of the oldest soldiers of the new draft, the 39 year old Joseph Robson (whose real surname was Storey).

Although the Geordie character of the battalion was eroded by these arrivals, no doubt the drafts of reinforcements settled into their new surroundings . Slowly coming back up to strength in terms of numbers and experience, the 4th Tyneside Scottish continued the training of its new draftees and fatalities were relatively light: less than thirty men from the battalion being killed in the four months from October 1916 to January 1917. This time was spent in the Armentières /Bois Grenier area which was - for long periods in the war - a quiet sector and would therefore have been useful to utilise in order to bring decimated units such as those of the 34th Division back up to full fighting efficiency. The 4th Tyneside Scottish took part in the usual rotation of battalions from reserve to support to front line duties in this period. A modest trench raid by two officers and 31 other ranks took place on 12/13 November. This was on the German 'Incision Trench', at La Chapelle-d'Armentières. Although some wounds were incurred among the raiders, no fatalities were reported.

No doubt Cedric was delighted to be awarded the Military Cross in the New Year's Honours list of January 1917.

February 1917 - Trench Raid

The 4th Tyneside Scottish was withdrawn from the front line at the end of January 1917 and moved back to Erquinghem where training was carried out over the next ten days. The battalion's war diary entry for the 7th February says "...The special party at Erquinghem are very busy in their training and from reports are very fit and confident..." It is likely that those in the 'special party' would have been under no illusions that they were going to be used in an operation, even if they were not told full details. The attack was to take place on the evening of 11th February 1917.

The 'Last Photo' Of Some Of The Raiders. Henry Clarke Is Marked, But Behind Him, Seated Centre (With An MC Ribbon) Is Captain Cedric Daggett.
The 'last photo' of some of the raiders. Henry Clarke is marked, but behind him, seated centre (with an MC ribbon) is Captain Cedric Daggett.
Frederick Hammond,
Another of the raiders was Frederick Hammond, whose photograph has recently come to light (courtesy 'Picture Sheffield')

John Collett, who was in 'B' Company, wrote home on the eve of the attack. His letter, dated 10 February to his wife Florence and daughter - who lived at Tulip Crescent in Hunslet (a suburb of Leeds) - makes no mention of any forthcoming action, even though he must have known he was about to take part in a trench raid the following night.

View Of Tulip Crescent (July 1961). Courtesy Of Www.Leodis.Net
View of Tulip Crescent (July 1961). Courtesy of www.leodis.net

Jack, as he signed himself, had told Florence in a letter a few days earlier that he "was out of the trenches, and it's a good job too because it's that cold. I think I've never seen a winter like this, they are starving to death in the trenches".[6]

He goes on to describe how 300 of the men from the 4th Battalion [i.e. Tyneside Scottish] had a football match on the [obviously frozen] river "...just as you was kicking the ball you would go on your back."

John's last letter goes on to refer to a parcel he had just received and enclosed a 'Brigade Card' saying "you will think it's late to send New Year cards but we have only got them today..."

Letter With The New Year Card, Tyneside Scottish (Courtesy Of Janet Rainford)
Letter with the New Year Card, Tyneside Scottish (Courtesy of Janet Rainford)

The trench raid which John Collett avoided mentioning was to be delivered on the German 'Inclement' and 'Incision' trenches. This was a much larger affair than the November raid, and was at exactly the same point on the front line as the earlier raid.

The brigade war diary records this was to consist of 13 officers and 257 other ranks (including a dozen other ranks from the 209th Field Company, RE).

Although no mention is made in the orders, it is almost certain that the men taking part in the raid would have divested themselves of identity tags, regimental insignia and any documents that would have enabled them to be identified.

The objective was to obtain prisoners and identification, as well as capturing machine guns, destroying dugouts and doing as much damage to the enemy's trenches as possible. Zero hour was fixed for 10.30pm. It was intended that the raiders would withdraw after less than 50 minutes. All four companies of the battalion were involved, each led by two or three officers and around 65 other ranks. Despite his not leading the raid, Lt-Col Porch was to take part, and attached himself to 'C' Company.

It is possible to understand the events of the raid from the battalion and brigade war diaries and from other sources. From these, we know that the four companies were deployed from left to right 'A'; 'D'; 'C' and 'B'. The attack of 'A' Company was led by Captain Cedric Daggett, with 2/Lt John Common and 2/Lt Stewart Milloy also taking part; they "met with great resistance and suffered very heavy casualties".

It appears, from the war diaries that 2/Lt Common, who reached the enemy trenches, was severely wounded. He was brought out by his orderly. 2/Lt Milloy managed to get into the enemy trenches and bombed two dugouts, killing three Germans. He later shot another with his revolver. A German machine gun caused a number of casualties and prevented the rear of 'A' Company getting to the German line. Milloy returned to the point of entry and reported to Captain Daggett who was on the parapet. Hearing the sound of Germans approaching, Milloy re-entered the German trench and killed a German soldier with his revolver. After further action Milloy and Daggett probably realised the situation was untenable - a party of about 50 Germans was seen - so the two officers rushed back to the German wire where Daggett ordered everyone to fall back. At this point Milloy realised Daggett and a private who was with him were nowhere to be seen. Pursued across no man's land by Germans, the remains of 'A' company returned to the British trenches. When the survivors regained the British lines, they discovered Captain Daggett was missing. A party under CSM Watson went out and brought back a number of wounded men, but no trace of Captain Daggett could be found.

To their right was 'D' Company, who "met with a very strong resistance" and suffered casualties in attempting to get into the enemy trenches. 2/Lt John Freeman was mortally wounded, and Sergeant Alsop (later awarded a Military Medal) took over command of the advance party. Owing to the wire being badly cut and the number of casualties to be evacuated, this party did not attempt to enter the enemy trenches again.

Further to the right was 'C' Company which met with resistance at the entrance to the gap in the wire where 2/Lt J Watson - who was in command of the advance party - was wounded. Lt-Col Porch reinforced this advanced party and together with 2/Lt William Algie rushed into the first line of enemy trenches. The records state "This party did most excellent work both in the German first and support trenches. 2/Lt Algie assumed command of the support line party and led his men straight into that line. Shooting seven Germans with his revolver, he also bombed many of the enemy..."

Specifically mentioned in the war diary was CSM Moore and L/Cpl Mitchell (who were awarded a DCM and MM respectively). It seems that men of the 209th Field Company RE accompanied Algie's party and "...did good work in connection with blowing up the ammunition store and Company HQ". Algie withdrew, bringing back with him five German soldiers and two German officers (one of whom Algie shot). The war diary records "Lt TE Heron also did very good work in the German front line."

No mention is made of 'B' Company in this narrative, although an after action report suggests that this party (on the right of the raid) had trouble getting through the German wire. Nevertheless, it was claimed that the enemy trenches were entered and damage done to dugouts.

A summary of the action strongly suggests that the Germans were ready and waiting for the attackers, that the German artillery promptly fell on the German front line once the raiders had entered it, and the British barrage was insufficient to prevent the Germans reinforcing their front line.

Major Brewin's diary

A personal account of this raid can be found in The National Archives. This was written by an officer who is almost certainly Major Bertram Robert Brewin. Major Brewin was second in command of the 34th Division's 16th Royal Scots from February to April 1917 and subsequently commanding officer of the 24th Northumberland Fusiliers. Interestingly, Brewin was charged with impertinence and reverted to Captain in June 1917.

Major Bertram Brewin(Courtesy IWM)
Major Bertram Brewin(Courtesy IWM)

Brewin's account describes Lt-Col Porch, who "could neither talk nor think anything but 'shop' all day long...one got bored stiff with shop, we used to flee out and leave him...". His diary also gives some detail of the raid itself, of which he says the main objective was a position (according to a sketch map in Brewin's account) located in the support line which "...looked, from aeroplane photos, like a company Head Quarters with dug outs."

Brewin's account continues...

" 'A' Company ran up against heavy resistance (there was no doubt the Bosch knew of the projected raid) and MG fire. [The company] ... only got as far as the parapet, exchanging bombs. Daggett, commanding 'A' Company was lost there: he was wounded and never found. 'B' Company never even got to the parapet (they had the worst company commander) and the men apparently never attempted anything. 'D' met strong opposition, and had a bombing combat but got in, and pushed towards 'B', but as 'B' never came they got pushed back and out. 'C' got in and the party went straight for [the German HQ] consisting of Lieut Algie and six men. The support party ... had to go and assist the block as the Bosch were pressing in, and they had to keep the bridge head clear for Algie to get back to. Algie got [to the German HQ] blew up one dug out when they refused to emerge, and captured two prisoners in another and then dashed back again: all got back with two wounded. Daggett of 'A' killed, Freeman of 'D' died of wounds. Heron and Common of 'C' Watson of 'D', Young of 'A' wounded. The decorations were ridiculous. 1 DSO for Algie and four MCs !!!" [7]

The war diary later records a second DSO, awarded to Lt-Col Porch, and five - rather than four - MCs. In addition to the Military Crosses, four men were awarded the DCM, eleven men were awarded the MM and one man the Medaille Militaire.

Trench Map Of The Area
Trench Map of the area. Note the entry points for the raiders

Casualties

Brewin's account - significantly - states "Some 12 men missing". Looking at the CWGC's records, it seems that, as a result of the raid, there were 2 officers and 23 men who are recorded by the CWGC as fatalities from the battalion (another man - a Sapper from the Royal Engineers 209th Field Company was also killed).

Of these 25 individuals from the 4th Tyneside Scottish, 22 are recorded as being killed on the 11th and 12th February (17 are recorded as being killed on the 11th with 5 on the 12th February). The other three died of wounds some days later: Private Thomas succumbed to his injuries on the 14th, Private Faulkner (real name - William Carter) then died of wounds on 17th February (he is buried at Boulogne Eastern Cemetery, which strongly suggests he died at a base hospital on the coast). Finally, Alexander Graham succumbed to his injuries on 23rd February.[8]

Taking the 22 who died on the 11th and 12th, there are eight men plus one officer who have known graves. Of these, three are buried at Bailleul Communal Cemetery Extension (including 2/Lt John Freeman mentioned in Brewin's account) and six are buried close together in Row E of Plot IV of Cite Bonjean Military Cemetery.

This leaves one officer and twelve men with no known graves, which ties in with Brewin's reference to the number of men missing. These twelve men plus Captain Daggett are today commemorated by the CWGC at Ploegsteert Memorial to the Missing.

Under normal circumstance, we would expect these 13 individuals to be totally untraceable and to have been - at best - buried in anonymous graves in the area around Armentières. With some remarkable luck, this is not, in fact, the case.

CWGC records

The following is an extract from the CWGC records pertaining to Rue-Petillon Military Cemetery, detailing the locations of original burials which were later concentrated into Rue-Petillon.

Lambersart Communal Cemetery German Extension... contained the graves of 1,016 German soldiers, 32 soldiers and airmen from the United Kingdom and two soldiers from Australia.[9]

According to the CWGC's records, all the graves were removed from Lambersart Communal Cemetery German Extension and re-buried at Rue-Petillon in October 1921. By tracking the original burial numbers from the German Cemetery which were recorded onto the CWGC's 'Concentration of Graves (Exhumation and Reburials)' forms, it is clear that the 34 soldiers and airmen were all buried in Plot II, Row A of Rue-Petillon. Whilst the reburials are not in the same sequence as the original burials, by using the CWGC's burial returns, it can be seen that, with a small number of 'insertions', the reinterred Lambersart burials are all now in graves 20 to 57 of Row A at Rue-Petillon.

From the original grave numbers allocated by the Germans, it can be deduced that twelve bodies from the 11th February raid were originally buried at Lambersart in two groups of six, in graves numbered 352 to 357 and 371 to 376. All of these twelve, apart from one, were detailed as "Unknown British Soldier, 11 February 1917", the exception being Private Reginald Thomas, of the 23rd Northumberland Fusiliers who died on 14 February 1917 (originally Lambersart grave 375).

When the War Graves Commission came to remove the British and Australian dead from the German cemetery at Lambersart in order to reinter them at Rue-Petillon, it is apparent that one of the "11th February" bodies was identified as an officer, and as a result was provided with a headstone which identified him as an "unknown officer" with a date of death as 11 February 1917.

Lambersart, Rue Petillon
The document from the CWGC showing grave 374 at Lambersart, which became grave 25 at Rue Petillon, is an unknown British officer
Lambersart From 352 To 357
This CWGC document shows the sequence of graves at Lambersart from 352 to 357, and from 371 to 376. All of these graves (with the exception of Reginald Thomas buried in grave 375) being "unknown" and whose dates of death are recorded as "11/2/17"

If it can be assumed that these men are from the 4th Tyneside Scottish raiding party, this would be remarkable enough. But there's more. Mentioned above is the fact that six of the raiding party are buried at Cite Bonjean Military Cemetery. Also buried here is the Royal Engineer who was killed in the raid. All seven are buried quite close together in Row E.

First of all there is John Sale who is buried in grave 17, next is Sapper George Abbs, of the Royal Engineers 209th Field Company, who is buried in grave 20. Then, in grave 22 is Watson Guffick. Just four graves separate Watson Guffick and two men who are in adjoining graves - Albert Waite and Oswald Coxon (graves 27 and 28). Just a few paces along are buried Richard Dillon and Thomas Grant who are also buried side by side in graves numbered 37 and 38; their headstones are both inscribed with the words "Believed to be". Quite remarkably in graves 39 and 40 are two "unknown" soldiers, which the CWGC record in their Graves Registration Report Form (date stamped 7 December 1920) as "Unknown British Soldier, Tyneside Scottish, 11 February 1917". These two are, without doubt, the last two of the raiding party.

Cite Bonjean, Including Two Unknown Tyneside Scottish Fatalities
The document from the CWGC showing the various burials at Cite Bonjean, including two unknown Tyneside Scottish fatalities who were killed on 11 February 1917

Room for doubt?

Could the men in Rue-Petillon be from another unit? This is of course a possibility, but given the "definite" date on the headstones, and investigating the CWGC database, it is evident that - apart from a number of men named on the Thiepval Memorial (many miles to the south) - there are only three individuals (two NCOs and a Lieutenant) named on memorials to the missing in the northern sector of the British Army's front who were killed on 11 February 1917. All three of these men are named on the Loos Memorial to the missing, and were part of the 1st Battalion, North Staffordshire Regiment. This battalion was, in mid February 1917, in the Hulluch/Noeux-Les-Mines sector, 16 miles south of the Tyneside Scottish raid. There are therefore no candidates other than the missing of the 4th Tyneside Scottish for the "11th February unknowns" buried at Rue-Petillon.

Can there be any doubt about the identity of the "unknown officer" being Cedric Daggett? Again, using the "definite" date provided by the CWGC, there are just nine officers who were killed on the 11 February 1917. Seven of these have known graves. Of the two who have no known grave, one is the Lieutenant from the North Staffs killed at Hulluch, mentioned above. The other is Captain Cedric Daggett.

Conclusion

The 4th Tyneside Scottish raid was probably not a success although much praise (and many medals) came to the battalion. The 26 men killed (including the RE sapper) was a high price to pay for minimal results. The raid, however, showed the battalion had recovered from its mauling on the opening day of the Battle of the Somme.

Families of the men with identified graves no doubt visited the cemeteries after the war, but would any relatives of the missing have visited Rue-Petillon, and noticed the 'coincidence' of the graves in Plot II, Row A? We may never know for sure, but it is unlikely.

Can the thirteen graves at Rue-Petillon and Cite Bonjean be marked with named headstones? This would seem to be impossible for the 'other ranks' as we cannot assign names to the graves. However, the case of the 'unknown officer' being the last resting place of Cedric Daggett would appear to be overwhelming. A submission to the CWGC/MoD will be made. In the meantime, the search for relatives of the missing men continues.

Finally - the 4th Tyneside Scottish later in the war

In February 1918 the 1st and 2nd Tyneside Scottish battalions were disbanded. The 3rd Tyneside Scottish transferred to the 48th Brigade, 16th (Irish) Division, while the 4th Tyneside Scottish transferred to the 116th Brigade, 39th Division, where it was joined by the 2nd Tyneside Irish, the sole surviving Tyneside Irish battalion. From then on the Tyneside Scottish Brigade ceased to exist and the brigade was simply the 102nd Brigade.

The Missing:

Captain Cedric Daggett (Newcastle)

Private Robert Banks (Patrington, East Yorkshire)

Private Robert Charlton (Monkseaston, Northumberland)

Private Henry Clarke (Kirkby Lonsdale, Cumbria)

Private John Collett (Leeds)

L/Cpl John Dockerty (Bedlington, Northumberland)

Private Frederick Hammond (Hollow Meadows, South Yorkshire)

Private John Hart (Hull)

Private Edward Jenkins (Leominster)

Serjeant Albert Robinson (Durham)

Private John Stamper (Huddersfield)

Private Joseph Storey [served as Robson] (Gateshead)

Private David Walling (Barnoldswick, Yorkshire)

 

Sources:

Daggett's Service Papers:TNA: PRO WO339/25004

4th Tyneside Scottish (23/Northumberland Fusiliers) War Diary:TNA: PRO WO95/2463

102 Infantry Brigade (Tyneside Scottish Brigade) War Diary:TNA: PRO WO95/2459

Brewin's account:TNA: PRO WO95/2385/6 (File name: "A personal account, dated 8 December 1916 to 5 June [1917?] by an un-named soldier originally attached to the 23rd Northumberland Fusiliers/4th Tyneside Scottish.")

Newcastle Journal Monday 3 July 1916 (via www.britishnewspaperarchive.co.uk)

The Register(Adelaide, South Australia) Monday 26 February 1917 (via www.trove.nla.gov.au)

Acknowledgements

Margaret Greenwood and Elizabeth Ashforth (re Daggett)

Andrew Wright and Janet Rainford (re Collett)

Thomas Temple (re Robinson)

Ruth Abel (re Walling)

References:

[1] Plot II, Row A: Being grave 25 (unknown officer), graves 30-37 inclusive, plus graves 39 and 56.

[2] While the Tyneside Irish battalions comprised of significant numbers of men of Irish extraction, the battalions of Tyneside Scottish contained only a small proportion of men who were Scottish - the recruits were Geordies attracted to the glamour of a "Scottish" regiment. An application for a full kilted uniform was rejected but as a concession, the Tyneside Scottish were allowed to wear a Glengarry hat and each battalion maintained a pipes and drums band. The brigade’s four battalions were known as the 1st to 4th Tyneside Scottish. When taken over by the British Army, these became 20th to 23rd battalions of the Northumberland Fusiliers

[3] All four battalion commanders of the Tyneside Scottish brigade were killed. Lt-Col Lyle is buried in Bapaume Post Military Cemetery, along with two other battalion commanders from the brigade.

[4] Martin Middlebrook, The First Day on the Somme (London: Allen Lane, 1971), p. 330

[5] Gleichen was removed from command and sent home in October.

[6] In this context "starving" is a local colloquialism meaning 'very cold'

[7] The citation for Algie's DSO reads: “Temp. 2nd Lt William Algie North’d Fus. For conspicuous gallantry and devotion to duty during a Trench Raid on the enemy’s trenches. He led the assaulting party with great dash and inflicted many casualties on the enemy. He himself shot eight of the enemy with his revolver. Later he skilfully withdrew his party under heavy fire and assisted to bring in the wounded.” In May Algie transferred to RFC. He survived the war.

[8] Alexander Graham died in German hands and was buried by his captors in grave 219 at Lambersart Communal Cemetery German Extension

[9] Lambersart Communal Cemetery German Extension is on the north-western outskirts of Lille, just 5 miles due east of where the trench raid took place.

Key benefits of membership

Becoming a member of The Western Front Association (WFA) offers a wealth of resources and opportunities for those passionate about the history of the First World War. Here's just three of the benefits we offer:

Bulletin Magazine Icon
Bulletin Magazine

This magazine provides updates on WW1 related news, WFA activities and events.

Virtual Battlefield Tours Icon
Virtual battlefield tours

Access online tours of significant WWI sites, providing immense learning experience.

Podcasts Ebinars Icon
Podcasts

Listen to over 300 episodes of the "Mentioned in Dispatches" podcast.

Other Articles

Se5a.
27 February 2026

India’s RAF Ace: Indra Lal Roy’s ten victories in 13 days

Read more
Gemini Generated Image D653dtd653dtd653
26 February 2026

The Nature of Courage: Lord Moran with the First Battalion Royal Fusiliers in the Great War

Read more
Sentry In A Trench IWM Gemini Generated Image 5W2dh5w2dh5w2dh5
25 February 2026

Archie's letters from Suvla

Read more
M Zeebrugge 12 4C Jun06 2000X1222 (3) (1)
24 February 2026

'I am going to be an Admiral': The life and times of Roger Keyes

Read more
Snipped Dual
18 February 2026

The Boy Who became an Ace: Captain Alexander Beck

Read more