A photographic record of the names on the Amara War Cemetery Memorial Wall

Published on 19 March 2026
Submitted by David Tattersfield and Ben Soppitt

There are two Commonwealth War Graves Commission Cemeteries in Amara. The town lies on the Tigris River and is approximately mid-way between Basra and Kut. Both of these being of significance for the Mesopotamian Campaign in the First World War.

Amara (now Amarah) was occupied by the Mesopotamian Expeditionary Force on 3 June 1915.

For obvious reasons, visits to the war cemeteries have been virtually impossible for at least two decades, but we are delighted to share a series of photographs which enable the men whose names are named on the memorial in Basra War Cemetery to be seen for the first time in years.

The headstones that were erected in Amara War Cemetery after the war showed the last resting place of some 4,621 individuals who were killed or (quite often) died of disease in the inhospitable climate. About 65 per cent (roughly 3,000) were in fact post-war concentrations into the cemetery. Of the total graves, most were identified, but 925 were not known by name. 

Amara Prior To Reconstruction
Amara War Cemetery prior to the installation of the supposedly permanent headstones (Image courtesy of CWGC)
Amara Cross And Stone
Amara War Cemetery, photograph probably taken between the two world wars. (CWGC)

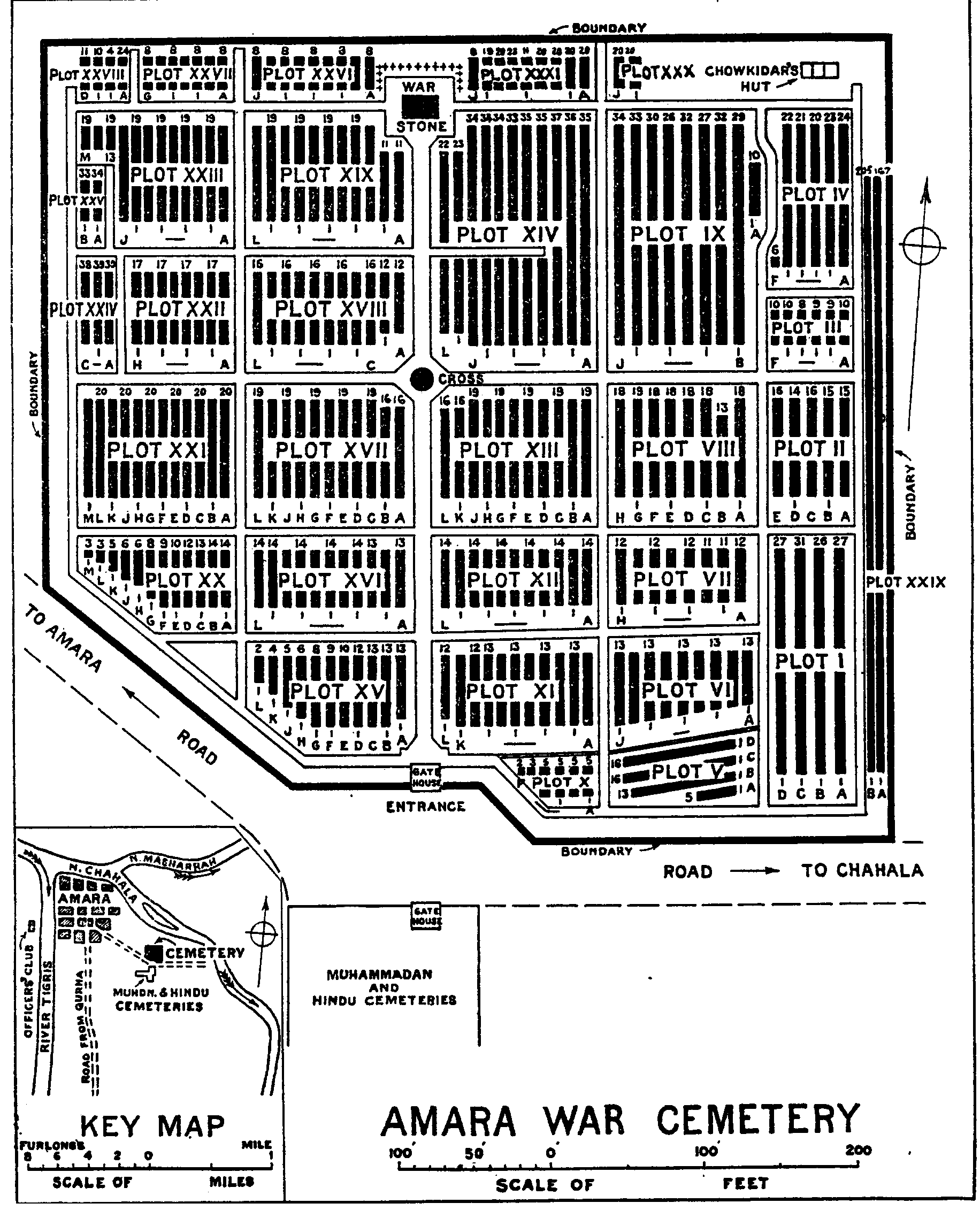
The original lay out of the cemetery shows multiple paths crossing the cemetery running north-south and west-east. The cemetery - as can be seen on the plan below - was thus divided into 31 plots. 

Cemetery Plan 69100
Cemetery plan, Amara War Cemetery (CWGC)

The location of the cemetery can be easily seen - as shown in the image below.

Amarah General Satellite
Amarah (Google Maps)

Overlaying the cemetery plan onto the satellite image provides an interesting juxtoposition

New Overlay

Across the road from this cemetery was (and still is) Amara (Left Bank) Indian War Cemetery.

Amara (Left Bank) Indian War Cemetery was created after the occupation of the town in 1915 and ultimately contained about 5,000 burials. However, no detailed records were made, and the graves of only nine casualties are identified by name.

Inter-war years

At the 1921 Cairo Conference, Britain established a Hashemite monarchy, placing Faisal I on the throne to act as a pro-British leader with nationalist credentials. Iraq therefore transitioned from a defeated Ottoman territory into a British-mandated territory and (in 1932) to a nominally independent kingdom.

During the interwar period (1918–1939), Amara became a focal point for the consolidation of British influence and the development of British-run medical facilities.

However, in 1933, it was realised that the salts in the soil was making the headstones in Amara War Cemetery to deteriorate. The solution was to remove all of the headstones and add the names of the men to a purpose-built screen wall. The graves were probably marked by 'stumps' which were made of wood and bitumen.

Screenshot 2026 03 19 At 9.20.57 AM
Internal Imperial War Graves Commission memo detailing the plan for the memorial wall
Amara Wall
Screen Wall, Amara War Cemetery (CWGC)

Uniquely, the names on this memorial - unlike any other memorial constructed by the Imperial War Graves Commission cemetery - also list the reference number of the plot, row and grave where the men were originally buried. 

First Part Of Panel 1
Panel 1, Royal Navy - showing plot numbers

As can be seen in this image, Commander EC Cookson, VC (of HMS Clio) was originally buried in plot 4, row A, grave 15.

View the panels

Because the panels have recently (2025) been photographed by Ben Soppitt, it is now possible to view these names. This can be done via the button below.

The photographs here also show the original panel lists as well as a memorial plaque to L/Cpl Jim McCue who was killed in Iraq in 2003. We are very grateful to Ben for facilitating this piece and sharing the photographs with us. 

Amara War Cemetery today

Although not to the inter-war standard of horticulture, the cemetery is looked after by a local family. This is briefly detailed in an article "A Tour of Mesopotamian War Cemeteries in 2025"

Amara Cem
Amara War Cemetery in 2025

What it looked like in the 1930's is shown below via images that have been colourised. 

Gemini Generated Image Q271srq271srq271
Amara War Cemetery. The headstones have been removed and in their place are stumps to show the grave locations. (Colourised using Google Gemini AI). Original photo courtesy of the CWGC
Gemini Generated Image Njgq9enjgq9enjgq
Amara War Cemetery showing the Memorial Wall. It is unlikely the grass would have been quite as green as 'imagined' on this image. (Colourised using Google Gemini AI). Original photo courtesy of the CWGC
Gemini Generated Image Ws89xwws89xwws89
Amara War Cemetery showing one of the east-west pathways, with the Cross of Sacrifice in the middle-distance (Colourised using Google Gemini AI). Original photo courtesy of the CWGC
Amara 3
Amara War Cemetery, probably taken in the early 1930's before the headstones were removed (Image courtesy of the CWGC)

There are still a few fragments of the original headstones kept by Mr Hasan

Image0 (1)
Fragments of headstones including that of Private E Condliffe
Image1
Eli Condliffe (7th N Staffs) died on 25 January 1917
Page 1 (57)
Pension Record Card for Eli Condliffe (WFA)

For the moment, the cemetery is in good hands, as the same family has maintained the site since the 1960s, with Mr Hasan Ahtif Mousa and his son, Mustafa, still there despite being unpaid for many years and at personal risk. 

With little by way of support or resources expected of such a large site, Mr Hasan led the renovation of the memorial wall in 2022 and all the panels are intact and well displayed.

18 Repairing Amara
Hasan Ahtif Mousa and his son, Mustafa repairing the Amara Memorial Wall
Gemini Generated Image Ovv2x7ovv2x7ovv2
The cemetery gatehouse c.1930s (CWGC). Image colourised using Google Gemini AI. Demolished on the orders of the CWGC Country Manager in 1998

Amara (Left Bank) Indian War Cemetery

As mentioned above, adjacent to Amara War Cemetery is Amara (Left Bank) Indian War Cemetery.

Indian Army casualties were treated very differently from their European compatriots with the men buried in mass graves and without adequate record keeping so that the names of those buried at Amara are unknown.

It is widely described in specialist and historical sources as the largest site of burials of Indian Army personnel anywhere.[1] The Indian cemetery has no signage, no perimeter fence and about 30% of it has been built over by an adjacent Amusement Park.

Amara Indian Memorial Pedestal
Amara (Left Bank) Indian War Cemetery pedestal with amusement park in background
Amara Left Bank With Trees (1)
Amara (Left Bank) Indian War Cemetery as it was in the inter-war years (Image: CWGC)

The gatehouse and two memorials survived up to 2004 when they were destroyed by militants following the invasion of Iraq by Allied forces in the second Gulf War.

24 Amara Indian War Cemetery Gatehouse66 Indian Memorial Amara 0605
The Gatehouse to Amara (Left Bank) Indian War Cemetery (credit MA Armstrong). Image taken in 2003. This was completely demolished in 2004 by militants along with the Hindu/Sikh and Muslim memorials where only the plinths now remain. Originally the gatehouses at the two Amara Cemeteries faced each other as they still do at Basra
Plaque 2025
This plaque was part of the gatehouse until it was destoyed
Gemini Generated Image Gewkttgewkttgewk
One of the memorials (courtesy of the CWGC). The original photograph was taken in 1957, but has been colourised using Google Gemini AI
Amara Indian Side
Although 'cropped' by the photogapher, this CWGC photo shows the memorial with the gatehouse in the background

The text near the top of this memorial reads "In Memory of the brave Muhammadans who sacrificed their lives in the Great War for their King and Country"

Indian Words
A close up of the plaque written in Urdu (which is one of the major languages of India and the national language of Pakistan)

This translates as

Line 1: "In the name of Allah, the Most Gracious, the Most Merciful"

Line 2 "This is the memorial of those Muslims who, in the Great War, for their country"

Line 3: "served the Emperor."

Full list of names

The full list of names of those who appear on the Amara War Memorial screen wall can be found on the CWGC's website.

Key benefits of membership

Becoming a member of The Western Front Association (WFA) offers a wealth of resources and opportunities for those passionate about the history of the First World War. Here's just three of the benefits we offer:

Local Branch Icon
Your local WFA branch

With around 50 branches, there may be one near you. The branch meetings are open to all.

Trenchmaper Icon
TrenchMapper

Utilise this tool to overlay historical trench maps with modern maps, enhancing battlefield research and exploration.

Standto Icon
Stand To!

Receive four issues annually of this prestigious journal, featuring deeply researched articles, book reviews and historical analysis.

Other Articles

George V Inspecting 29Th Division At Dunchurch March 1915 (1) (1)
6 April 2026

A Campaign in Two Halves: The 29th Division’s ‘Incomparables’ Sept 1915 - Jan 1916

Read more
Pic13
3 April 2026

Immediate postwar pictures of France and Belgium

Read more
Gemini Generated Image 429U8k429u8k429u
1 April 2026

Memories of ‘55’

Read more
Ce6760b8699446aa415841e5bdd66811
1 April 2026

My Most Thrilling Flight

Read more
A Long Distance Hurley 43
1 April 2026

A Long Distance Raid

Read more